- シーマックスダイビングクラブ沖縄 >
- 美ら海日記 >
- 2020年12月
Warning: mysqli_query(): (HY000/1194): Table 'wp_usermeta' is marked as crashed and should be repaired in /var/www/html/wordpress/wp-includes/wp-db.php on line 1868
年末に夏日が戻ってきた!?慶良間でした♪
| 天気 | 晴れ | 気温 | 25℃ | 水温 | 24℃ |
|---|
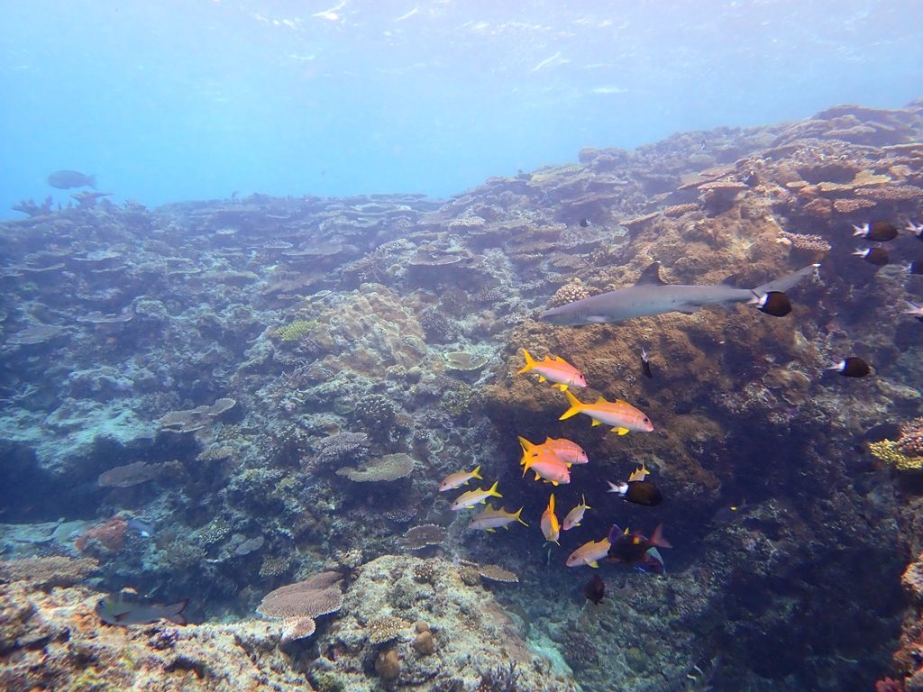
今日のケラマは久しぶりに南風が吹いてあれ、なんだか夏が戻ってきた!?という感じ♪
冬にはなかなかいけないポイントにも行ってきました(*´▽`)ノ

真っ白な砂地〜
を抜けるとコバンザメ付きのネムリブカに遭遇

近寄っても逃げないおとなしい子でした。
対象的に洞窟の中も今日のように晴れていると隙間から光が漏れてキレイでした♪

真っ暗な場所にはアカマツカサも隠れていました!

どこまでも続くリュウキュウキッカサンゴ〜〜

渦巻きがキャベツに似てるのでキャベツサンゴとも呼ばれています(。-∀-。)

ウミガメにも会えて近くで写真も◎!
ラッキーな一日になりました!
今日も一日ありがとうございました(@^^)/~~~
2021年シーマックス研修生絶賛大募集中です!!
インストラクターになって、沖縄の海で一緒に働きませんか?
資格の有無は問いません。
やる気、元気、根気のある方募集中です。
詳しくは、こちらをご覧下さい。
少しでも気になった方はとりあえずご連絡ください。
年末を忘れてしまう慶良間(*^^*)
| 天気 | 晴れ | 気温 | 22℃ | 水温 | 24℃ |
|---|
Christmasも終わり、年末感が漂いますが慶良間の海は透明度もよく感動の世界を味わってきました☆
慶良間に行く道中には遠くにクジラも発見!!少し遠かったですがこれからの季節は期待ですね(・ω・)

カメラも持参でダイビング!素敵な写真は撮れたかな??

マクロの世界では、ガイコツパンダホヤに出会いました!!
まるでガイコツのようにスケスケですね♪

ワライボヤも大量!!!!!(笑)
ニコニコ顔で幸せをもらえそうですね☆

グルクンも右往左往に泳ぎまわっていました!!

クマノミのいえはかわいい家でした(*^^*)

頭隠して尻隠さずのアオウミガメ♪
お昼寝中だったのでしょうー‼

サンゴの上にはテングカワハギがペアで!!ドット柄で人気の魚ですね♪

明日はどんな一日が待ってるでしょう♪
明日も素敵な一日になりますように♪
2021年シーマックス研修生絶賛大募集中です!!
インストラクターになって、沖縄の海で一緒に働きませんか?
資格の有無は問いません。
やる気、元気、根気のある方募集中です。
詳しくは、こちらをご覧下さい。
少しでも気になった方はとりあえずご連絡ください。
クリスマスは慶良間でダイビング♪
| 天気 | 晴れ | 気温 | 20℃ | 水温 | 24℃ |
|---|
クリスマスは水中をいろんな生物と楽しみました☆

大きなタイマイ!ダイバーい全く動じずのご飯タイムでしたね

チンアナゴも今日は普段より近寄らせてくれたんじゃないでしょうか?!

クリスマスカラーの赤色をまとったサラサエビも可愛かったですね☆

ネムリブカも今日はなんだかそわそわ、たくさん泳いでいました

昨日いい子に待っていたカクレクマノミたちはプレゼントをもらえたんでしょうか?(*^^*)
happyChristmas🎄

今日も1日ありがとうございました(@^^)/~~
2021年シーマックス研修生絶賛大募集中です!!
インストラクターになって、沖縄の海で一緒に働きませんか?
資格の有無は問いません。
やる気、元気、根気のある方募集中です。
詳しくは、こちらをご覧下さい。
少しでも気になった方はとりあえずご連絡ください。
クリスマスイブは素敵な海になりました☆
| 天気 | くもり時々晴れ | 気温 | 23℃ | 水温 | 23℃ |
|---|
明日はクリスマス!
皆さんはどう過ごしますか?慶良間でダイビングなんてどうでしょう?(*^^*)
クリスマスイブの今日もゲストさんと一緒に慶良間へ~~
クリスマスと言えば!!水中では絶対撮られるこの子

イバラカンザシという生き物ですがクリスマスツリーに見えることから
英語ではクリスマスツリーワームと呼ばれています!!
いろんな色があって可愛いですよ💛

可愛さなら負けてない?!水玉模様のテングカワハギ!

クリクリぱっちりお目目のカクレクマノミも
サンタさんまだかな~とイソギンチャクの中でいい子に待機中…♪

ウミガメは2種類見ましたがタイマイとはこの近さ🐢
思わずぴーーす✌

ダイビングの合間には大きな虹も出ていてなんだかいい1日!!
今日も1日ありがとうございました(@^^)/~~
2021年シーマックス研修生絶賛大募集中です!!
インストラクターになって、沖縄の海で一緒に働きませんか?
資格の有無は問いません。
やる気、元気、根気のある方募集中です。
詳しくは、こちらをご覧下さい。
少しでも気になった方はとりあえずご連絡ください。
初めてづくしの一日☆
| 天気 | 晴れのち雨 | 気温 | 23℃ | 水温 | 24℃ |
|---|
2020年も残り1週間( ̄▽ ̄)
今日は初めての慶良間で初シュノーケル♪初体験ダイビングを楽しんできました~!!

浅瀬にもかわいい魚もたくさん!!シュノーケルでもたくさん泳ぎましたね(*^_^*)

綺麗な世界に囲まれ夢のような時間でしたね!!
ダイビングではそんなかわいい生物を間近で見ることが出来ます♪

ニモで大人気のカクレクマノミは顔を出してくれますね!!可愛かったですねー♪
深い所ではサメ(ネムリブカ)が眠っていました!!
体験ダイビングではいけない深度でしたが、ぜひライセンスを取得して、大きな生物とも出会ってほしいですね(*^_^*)

大きなアオウミガメとも遭遇!!速かったですね。。。(笑)

そして慶良間のサンゴはカラフルで盛りだくさん!!

そんな中にハート型のサンゴを発見!クリスマスを感じましたね☆

さぁ明日はどんな一日が待ってるでしょう♪
明日も素敵な一日になりますように♪

2021年シーマックス研修生絶賛大募集中です!!
インストラクターになって、沖縄の海で一緒に働きませんか?
資格の有無は問いません。
やる気、元気、根気のある方募集中です。
詳しくは、こちらをご覧下さい。
少しでも気になった方はとりあえずご連絡ください。
2020年も残り10日を切りました!
2020/12/22
| 天気 | 晴れ | 気温 | 20℃ |
|---|
2020年も残すところあとわずか!!
カウントダウンが始まりますね(・ω・)

久しぶりに見た太陽(*^_^*)
今日はスタッフ全員でお店の大掃除を行いました!
お店の中を少しでも広く使えうるようにレイアウトも少しチェンジ♪
スタッフが事務作業するスペースも効率良く出来るにように変えました!!
荷物を全部移動!!

看板犬マロに見守られながら床掃除♪

大掃除を行うとようやく年末感がでてきました・・・

まだまだシーマックスの大掃除は続きます!(笑)
いろんなことがあった2020年!!
残り僅かですがみなさんが良いお年を迎えられますように☆

2021年シーマックス研修生絶賛大募集中です!!
インストラクターになって、沖縄の海で一緒に働きませんか?
資格の有無は問いません。
やる気、元気、根気のある方募集中です。
詳しくは、こちらをご覧下さい。
少しでも気になった方はとりあえずご連絡ください。
バースデイダイビングは慶良間の海で✨
2020/12/21
| 天気 | くもり時々雨 | 気温 | 20℃ | 水温 | 23℃ |
|---|
今日は昨日から引き続きのゲストさん!
なんとお誕生日でした👏👏

水中で一緒にお祝いです(^^♪
さて、そんな今日の水中の様子です💡

ピカピカのサンゴ礁の上は泳いでいて気持ちよかったですね☆

スカシテンジクダイは骨までスケスケ~~!
綺麗に撮れたでしょうか?(*ノωノ)
大きなフグも泳いでいましたね( `ー´)ノ

さらにビックサイズのウミウシも発見しました👀

ダイブコンピューターと比較していますが伝わるでしょうか、
このサイズ感(;’∀’)ずっしり、もっちりって感じでしたね(笑)
たくさんの生き物に出会って思い出に残る水中バースデイでしたね💛
またお待ちしています!
今日も1日ありがとうございました(@^^)/~~
一足先にサンタさんも一緒にダイビング!
| 天気 | くもり | 気温 | 19℃ | 水温 | 23℃ |
|---|
今日は慶良間の海にサンタさんとトナカイさんが遊びに来てくれました🎅

もうすぐクリスマスなので海の中にはサンタさんがたくさんです( ´∀` )笑
皆さんはクリスマスツリーの準備はしてますか?

水中ではクリスマスツリーワームが準備バッチリで待ち構えてましたよ!(^^)!

雪のように青く綺麗なデバスズメダイの群れや

イルミネーションのようにカラフルな魚たちもたくさんいましたね!

慶良間からのクリスマスプレゼント?!
ネムリブカがダイビング終了間際にサプライズ登場💛
明日も楽しみましょうね!
今日も1日ありがとうございました(@^^)/~~
透明度抜群の海で楽しんできました☆
| 天気 | くもり | 気温 | 20℃ | 水温 | 24℃ |
|---|
今日も慶良間でFUNダイビング♪
曇り空が広がる日が続いてる沖縄ですが慶良間の海は透明度抜群( ̄▽ ̄)
たくさんの出会いが沢山ありました☆

砂地エリアは浮遊感をより一層感じることが出来ますね!!
まるで慶良間の海を独占してるかの様です!

かわいいジョーフィッシュにも出会うことが出来ました♪
少し臆病でなかなか近づくことが出来ませんでした。。。

ニモで人気のカクレクマノミは、ゆらゆらと興味深そうにダイバーに顔を向けてくれました(*^_^*)

冬を連想させるユキヤマウミウシも発見!!

珍しくモンハナシャコは身体全体を出していましたね!!
カラフルで美しい(・ω・)

水面を見上げればアオウミガメが悠々と泳いでいました(*^_^*)

今日も一日ありがとうございました(@^^)/~~
明日も素敵な一日になりますように♪

2021年シーマックス研修生絶賛大募集中です!!
インストラクターになって、沖縄の海で一緒に働きませんか?
資格の有無は問いません。
やる気、元気、根気のある方募集中です。
詳しくは、こちらをご覧下さい。
少しでも気になった方はとりあえずご連絡ください。
念願の慶良間!砂地で楽しみました☆
| 天気 | くもり時々雨 | 気温 | 18℃ | 水温 | 23℃ |
|---|
なかなか慶良間に行けない日が多くありましたが
なんとか今日は慶良間まで⛴
穏やかな砂地でダイビングを楽しみました!(^^)!
砂地は生き物少ないというイメージの方が少なくないとは思いますが
よーく探すとたくさんの生き物が住んでいます!

ちらっと見えている顔に大きな瞳がかわいいジョーフィッシュ!

慶良間ではレアなヤシャハゼも砂地に住んでいますよ☆

色白なハダカハオコゼは岩の上に~
ひらひら歩くように泳ぐ姿が可愛らしかったですね💛

大きなドクウツボは迫力満点!腕よりも太かったです(;’∀’)

渦巻き模様が特徴的なタテジマキンチャクダイの幼魚も発見!!
しばらくいてくれるといいなぁ~~
探す楽しみがたくさんの砂地でしたね!
今日も1日ありがとうございました(@^^)/~~
2021年シーマックス研修生絶賛大募集中です!!
インストラクターになって、沖縄の海で一緒に働きませんか?
資格の有無は問いません。
やる気、元気、根気のある方募集中です。
詳しくは、こちらをご覧下さい。
少しでも気になった方はとりあえずご連絡ください。
RESERVE
ダイビングライセンス、ファンダイビング、体験ダイビング、シュノーケリングのご予約はこちら


