- シーマックスダイビングクラブ沖縄 >
- 美ら海日記 >
- 2017年9月
土曜日(#^^#)
| 天気 | 晴れ | 気温 | 34℃ | 水温 | 28℃ |
|---|
本日も天候に恵まれ楽しく元気に慶良間へ行って来ました!(^^)!

体験ダイビングではケラマブルーを大いに堪能して頂きました♪

泳ぐ姿もすっかりダイバー
2回もダイビングを楽しんでいただきました♪
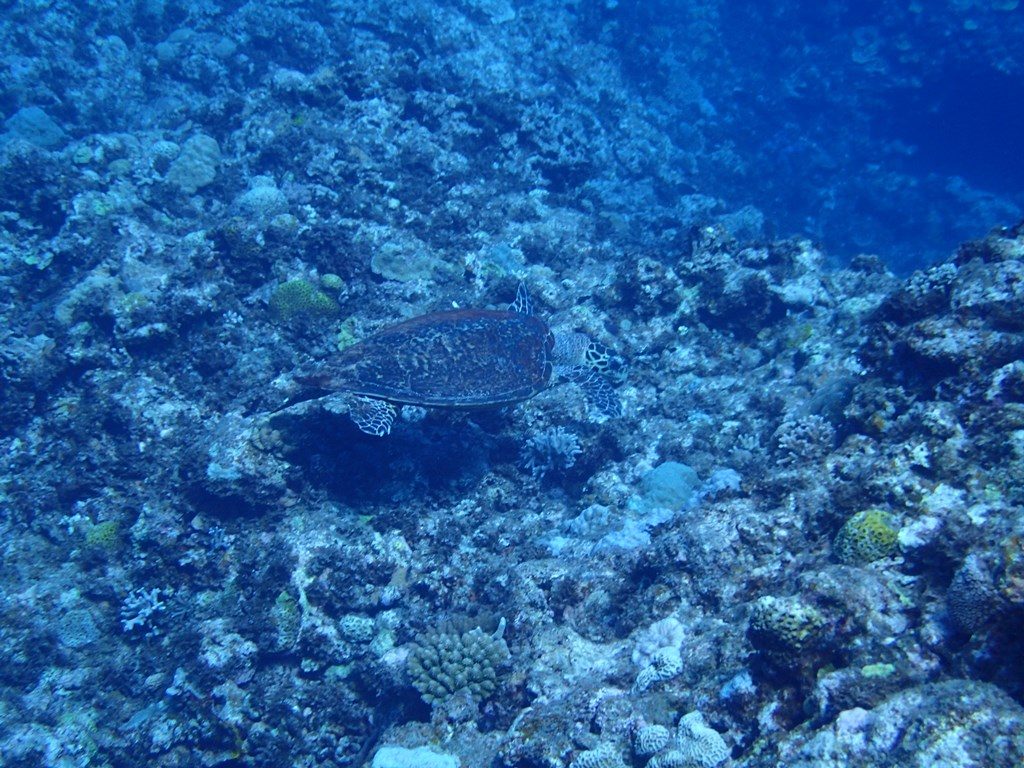
シュノーケリングチームもウミガメ(タイマイ)も最初の場所で見ることができ

クマノミ越しのお客様の素敵な写真も撮ることが出来ました!

今日も素敵な一日ありがとうございました!

9月になっても
| 天気 | 晴れ | 気温 | 34℃ | 水温 | 28℃ |
|---|
沖縄も朝晩は少し涼しい風が吹いてきて秋の気配が感じる今日も元気に慶良間へ行って来ました!(^^)!
綺麗な光が差し込んだ砂地でまったり泳いだり

綺麗なサンゴを眺めながらハナゴイと泳いだり、

クマノミも眺めてきました(#^^#)

慶良間の海にはたくさんいるアオリイカ!
食べるとおいしいです♪

ウミガメ(タイマイ)とも泳いで素敵な夏の一日になりました♪

今日も素敵な一日ありがとうございました!
夏はまだまだ終わらない!
| 天気 | 晴れ | 気温 | 34℃ | 水温 | 28℃ |
|---|
今日も元気に慶良間諸島へ!
8月最終日ですがまだまだ沖縄は夏全開です(^^♪
慶良間の海はいろんな楽しみ方があります!
魚の群れ(デバスズメダイ)を見たり

かわいいカクレクマノミを見たり

洞窟をのぞき込んで地形を楽しんだり

また立派なサンゴを(イソバナ)を見たり

などなど!
沖縄の夏はまだまだ続きますよーー!
是非お待ちしております!
今日も一日ありがとうございました(^^)/

2日間の講習お疲れ様でした♪
2017/09/01
| 天気 | 晴れ | 気温 | 33℃ | 水温 | 29℃ |
|---|
今日は昨日から引き続きのアドバンスド・オープン・ウォーター講習を慶良間でやってきました。
今日は昨日と同様に慶良間の透き通った水中で講習が出来て、お客様も大喜び♪
沖縄らしいカラフルな魚たちに感動して頂きました~

もちろんしっかりと講習もご覧の通りにしていきましたね。
まずはナビゲーション♪

他にもフォトグラフやディープなど今後のダイビングをもっと楽しくするためにスキルアップ♪
カメラの撮影スキルではクマノミやスカシテンジクダイなど沢山のお魚に魅了して頂きました。

他にもデバスズメダイの群れにナンヨウハギの幼魚も潜んでいました。
見つけることが出来ましたか~?

海にはたくさんの発見があります。
講習ではその発見をさらに学ぶことが出来、スキルアップにもつながります。
皆様も是非講習でレベルアップをして頂ければと思います♪
今日も素敵な出会いが沢山ありました!
明日も素敵な一日になりますよーに♪
RESERVE
ダイビングライセンス、ファンダイビング、体験ダイビング、シュノーケリングのご予約はこちら


